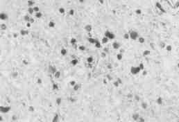
Fig. 2: Formalin-fixed, paraffin-embedded section from the stereotactic biopsy from patient 1. Many of the cells show subtle nuclear and cytoplasmic vesicular changes and nuclear irregularity (PAS stain X 400).


Return to article